Skip to main content
File #: 24-0255    Version: 1 Name: Setback Variance for Lot 18 of Sky View Meadow - Variance Request
Type: Planning Item Status: Regular Agenda
File created: 7/3/2024 In control: Planning Commission
On agenda: 7/18/2024 Final action: 7/18/2024
Title: Setback Variance for Lot 18 of Sky View Meadow - Variance Request
Sponsors: Planning Commission
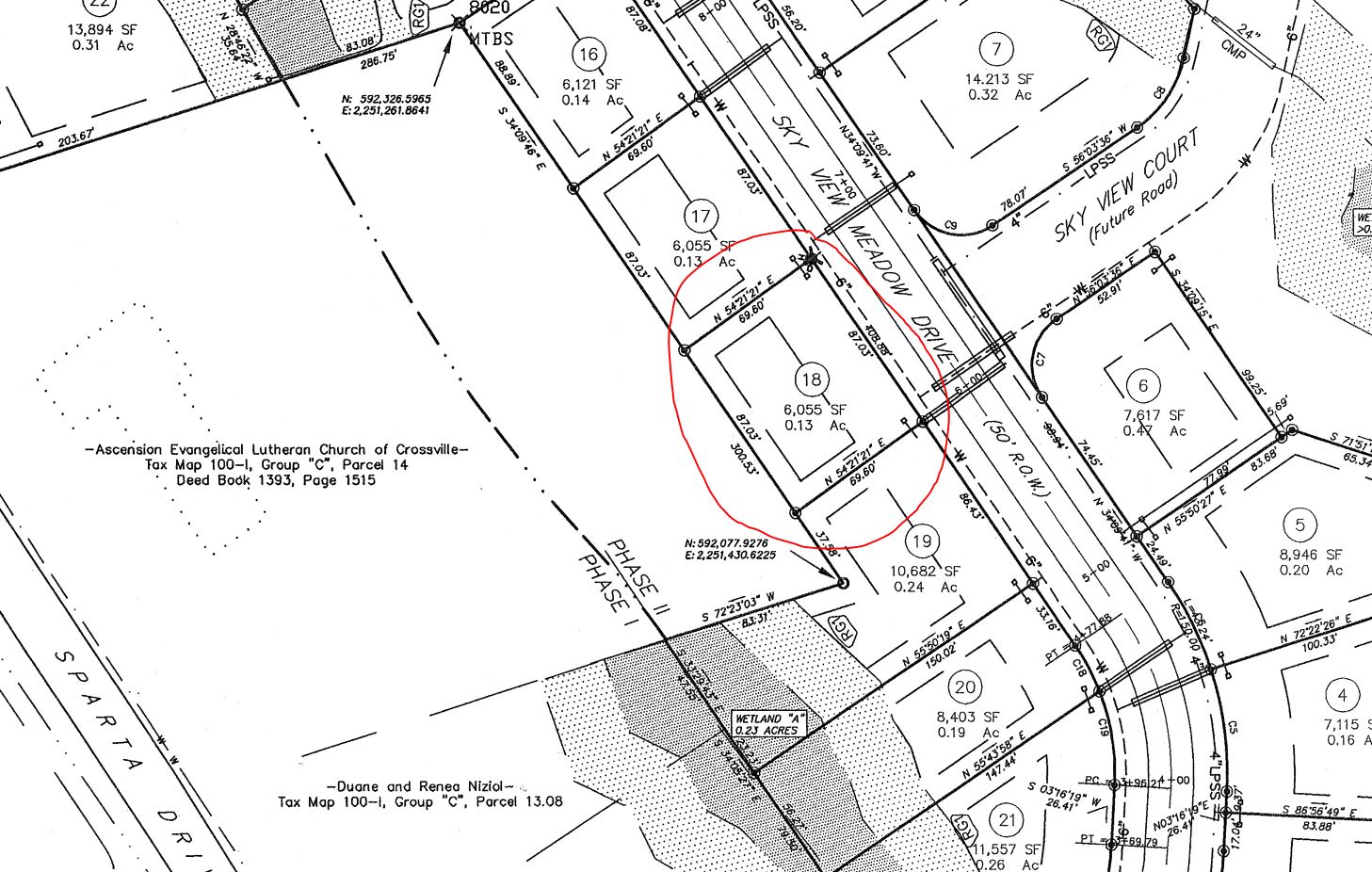
Attachments: 1. Variance Review Request, 2. DeckInfo, 3. Sky View Meadow Lot 18

Title

Setback Variance for Lot 18 of Sky View Meadow - Variance Request

 

Body

SUMMARY: The property owner at 121 Sky View Meadow is requesting a 2 foot setback variance to the rear property line. They are proposing a deck addition with privacy panels. The property to the rear of the lot 18 is the parking lot of a church. There are no other structures near the property. The lots are not very deep in this section of the Sky View Meadow subdivision.

 

STAFF RECOMMENDATION: Staff recommends approval of the 2 foot setback variance.

 

Recommended Action

NECESSARY PLANNING COMMISSION ACTION: Approve the setback variance